
項目名稱:共信時代廣場(西山區12號片區城中村改造項目)A2地塊
項目性質:居住
申報類別:行政許可變更
申報單位:云南創利房地產開發有限公司
規劃局審批經辦:昆明市規劃局西山分局
公示類別:批前公示
公示時間:2017年12月7日至2017年12月15日
公示地點:昆明城市規劃展覽館及項目現場
公示網址:http://www.kmghj.gov.cn/
公示媒體:昆明日報
公示組織單位:昆明市規劃編制與信息中心
項 目 簡 介
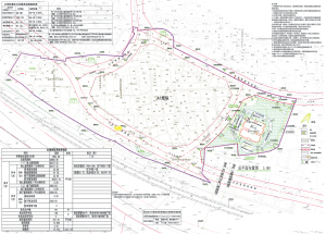
項目位于西山區永昌街道辦事處馬家社區解家橋村,南鄰二環南路,西鄰老鴉營,北鄰永昌小區,東臨中國工商銀行云南金融培訓學校,共信時代廣場(西山區12號片區城中村改造項目)A2地塊《建設工程規劃許可證》及附圖回遷安置房面積變更為9054.568平方米。
備注:對以上公示項目有異議者,請在公示期限內以書面形式將意見和建議反饋到昆明市盤龍區拓東路122號昆明城市規劃展覽館3樓或昆明呈貢區市級行政中心4號樓3樓昆明市規劃編制與信息中心385室。聯系電話:63194144。
昆明市規劃局 2017年12月7日
本站轉載文章和圖片出于傳播信息之目的,如有版權異議,請在3個月內與本站聯系刪除或協商處理。凡署名"云南房網"的文章未經本站授權,不得轉載。爆料、授權:news@ynhouse.com。








熱門評論